الفلبين تحث مواطنيها على البقاء في مناطق آمنة استعداد لمواجهة إعصار ” كوبو “
المسلة / اخبار متنوعة
|
الفلبين تحث مواطنيها على البقاء في مناطق آمنة استعداد لمواجهة إعصار ” كوبو “
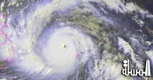
مانيلا " المسلة " ... حثت السلطات الفلبينية – اليوم السبت – مواطنيها على البقاء في مناطق آمنة، والسياح الابتعاد عن المنتجعات الساحلية إلى مناطق أكثر أمنا، استعدادا لمواجهة إعصار “كوبو” مع اقترابه من المناطق الشمالية الشرقية -----من جزيرة لوزون الرئيسية في البلاد.
ونقلت قناة (سكاي نيوز) الإخبارية عن مسئول في المجلس الوطني لإدارة الكوارث قوله ” إن نحو 300 شخص يقيمون في مناطق ساحلية معرضة للإعصار أو أراض منخفضة يتوجهون إلى مناطق آمنة بسبب خطر الفيضانات والانهيارات الأرضية والعواصف” ، مشيرا إلى أنه تم إلغاء بعض الرحلات الجوية .
وأضاف المسئول أن السلطات الفلبينية طلبت من 2000 سائح أجنبي ومحلي معظمهم من ممارسي رياضة ركوب الأمواج الابتعاد عن المنتجعات الساحلية والتوجه إلى مناطق آمنة. من جانبها، طالبت هيئة الأرصاد الجوية من أصحاب العبارات وزوارق الصيد البحث أيضا عن أماكن آمنة.
يشار إلى أن سرعة الرياح الناجمة عن الإعصار تقدر بحوالي 160 كيلومترا في الساعة، فيما اقترب إلى مسافة 300 كيلومتر شرقي بالر في إقليم أورورا، ويتحرك غربا، ومن المقرر أن يضرب اليابسة خلال 12 إلى 18 ساعة قادمة.
أ ش أ



.jpg)
.jpg)













تعليقات القراء